Ster topic:
Kijk je naar goedkopere alternatieven voor je hond nu alle de prijzen zo uit de bocht vliegen?
Ster topic! Klik hier om te reageren
Ben je nieuw en wil je een account maken? Klik hier!
Een (zeer) beknopte handleiding voor nieuwe leden vind je hier: Klik!
Het hondenforum team stelt zich hier voor: Klik!
Laatste wijziging 23-03-2022
Wil je deze forummededeling niet meer zien? klik dan rechtsboven in dit vak
Kijk je naar goedkopere alternatieven voor je hond nu alle de prijzen zo uit de bocht vliegen?
Ster topic! Klik hier om te reageren
Ben je nieuw en wil je een account maken? Klik hier!
Een (zeer) beknopte handleiding voor nieuwe leden vind je hier: Klik!
Het hondenforum team stelt zich hier voor: Klik!
Laatste wijziging 23-03-2022
Wil je deze forummededeling niet meer zien? klik dan rechtsboven in dit vak
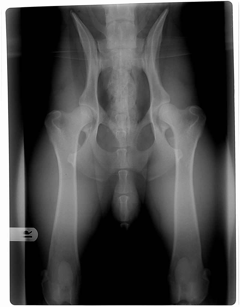
Pup met HD. P14: penny heeft een bekkenkanteling ondergaan.
Moderator: moderatorteam
-
Tulp
- Zeer actief
- Berichten: 3148
- Lid geworden op: 13 dec 2004 18:58
- Mijn ras(sen): boerboel
- Aantal honden: 0
Re: Pup met HD? Rontgenfoto's op pagina 3.
@Gaby. Je ziet dat niet zozeer aan de ruggegraat danwel aan de uitstekende puntjes van het bekken die aan twee kanten even ver achter het bovenbeen moeten liggen en aan de twee openingen van het bekken die exact gelijk moeten zijn. Daarbij moet de knieschijf zichtbaar zijn en midden boven de knie liggen.
Vanaf het bekken kan het nl best lijken of de ruggegraat niet recht ligt als alleen de staart wat scheef ligt, en dat geeft dan weer niets.
Vanaf het bekken kan het nl best lijken of de ruggegraat niet recht ligt als alleen de staart wat scheef ligt, en dat geeft dan weer niets.
* * *
People say that money cannot buy you happiness..............
but you can buy a boerboel and that is pretty damn close
People say that money cannot buy you happiness..............
but you can buy a boerboel and that is pretty damn close
- LongFields
- Zeer actief
- Berichten: 49618
- Lid geworden op: 16 jan 2003 11:07
- Mijn ras(sen): Laekense Herder Tapas
Peruaanse Kelpie Mojo
Kelperuaan Kiitos - Aantal honden: 3
Re: Pup met HD? Rontgenfoto's op pagina 3.
Ja, die van Biène inderdaad.Inge schreef:Bedoel je die van Biène?LongFields schreef:Ja, zo hoort hij te zijn. Mooie strakke heupen trouwens, lekker diepe kommen ook.
Die werden door Jan Kooken als perfect bestempeld en ze was toen al bijna 2 jaar (ik durfde niet zo goed)
-
Brindlecardi
- Zeer actief
- Berichten: 21044
- Lid geworden op: 25 jan 2006 22:09
- Mijn ras(sen): Welsh Corgi Cardigan
Re: Pup met HD? Rontgenfoto's op pagina 3.
Wat belachelijk zeg! Zou eigenlijk echt mijn geld terugvragen, er valt weinig te beoordelen zo!
- -Gaby-
- Zeer actief
- Berichten: 6335
- Lid geworden op: 18 feb 2009 22:44
- Mijn ras(sen): Louisiana Catahoula Leopard Dog, Tamaskan
- Aantal honden: 2
- Locatie: Groningen
Re: Pup met HD? Rontgenfoto's op pagina 3.
Wow, daar ben ik wel jaloers op. Of nou ja, voor Rhodin dan.Inge schreef:Bedoel je die van Biène?LongFields schreef:Ja, zo hoort hij te zijn. Mooie strakke heupen trouwens, lekker diepe kommen ook.
Die werden door Jan Kooken als perfect bestempeld en ze was toen al bijna 2 jaar (ik durfde niet zo goed)
- -Gaby-
- Zeer actief
- Berichten: 6335
- Lid geworden op: 18 feb 2009 22:44
- Mijn ras(sen): Louisiana Catahoula Leopard Dog, Tamaskan
- Aantal honden: 2
- Locatie: Groningen
Re: Pup met HD? Rontgenfoto's op pagina 3.
Ah, bedankt voor de uitleg!Tulp schreef:@Gaby. Je ziet dat niet zozeer aan de ruggegraat danwel aan de uitstekende puntjes van het bekken die aan twee kanten even ver achter het bovenbeen moeten liggen en aan de twee openingen van het bekken die exact gelijk moeten zijn. Daarbij moet de knieschijf zichtbaar zijn en midden boven de knie liggen.
Vanaf het bekken kan het nl best lijken of de ruggegraat niet recht ligt als alleen de staart wat scheef ligt, en dat geeft dan weer niets.
- linda1985
- Zeer actief
- Berichten: 1305
- Lid geworden op: 04 jul 2007 20:55
- Mijn ras(sen): Welsh springer spaniel en Jack russell Terrier.
- Aantal honden: 3
- Locatie: Noord brabant
Re: Pup met HD? Rontgenfoto's op pagina 3.
Ziet er zo op het eerste oog niet goed uit.. maar de foto's zijn dan ook erg slecht! Ik ben benieuwd wat ze in de kliniek in Budel zeggen, en als de foto's wel goed zijn gemaakt..

- Inge
- Zeer actief
- Berichten: 20173
- Lid geworden op: 22 apr 2002 05:31
- Mijn ras(sen): Mechelse Herder
- Aantal honden: 2
- Locatie: V'waard Baasje van Kobe en TikA
- Contacteer:
Re: Pup met HD? Rontgenfoto's op pagina 3.
Was toen ook echt heel blij....haar vader heeft namelijk nadat Biène al geboren was een officiële beoordeling gehad en die was niet goed (HD D). Wel een goede norbergwaarde (ik geloof 38 uit mijn hoofd) maar met een botafwijking van 3.LongFields schreef:Ja, die van Biène inderdaad.Inge schreef:Bedoel je die van Biène?LongFields schreef:Ja, zo hoort hij te zijn. Mooie strakke heupen trouwens, lekker diepe kommen ook.
Die werden door Jan Kooken als perfect bestempeld en ze was toen al bijna 2 jaar (ik durfde niet zo goed)
Biène heb ik trouwens niet officieel laten beoordelen. Toen deze foto's gemaakt werden hadden we al besloten niet met haar te fokken dus ik vond het vooral belangrijk om te weten ivm het sporten.
Groetjes Inge

Danco 16-02-1996 † 30-12-2006 Snoepie 03-07-1994 † 03-07-2008 Nika 07-07-1999 - † 10-08-2009 Marouck 24-08-2002 † 22-05-2012 Numa 11-05-2011 † 2017

Danco 16-02-1996 † 30-12-2006 Snoepie 03-07-1994 † 03-07-2008 Nika 07-07-1999 - † 10-08-2009 Marouck 24-08-2002 † 22-05-2012 Numa 11-05-2011 † 2017
- LongFields
- Zeer actief
- Berichten: 49618
- Lid geworden op: 16 jan 2003 11:07
- Mijn ras(sen): Laekense Herder Tapas
Peruaanse Kelpie Mojo
Kelperuaan Kiitos - Aantal honden: 3
Re: Pup met HD? Rontgenfoto's op pagina 3.
Dit zijn die van Tapas trouwens (HD-A, NBW 40):

- Penny
- Zeer actief
- Berichten: 753
- Lid geworden op: 05 mar 2011 16:20
- Mijn ras(sen): Golden Retriever x Oud Duitse Herder
- Aantal honden: 1
- Locatie: Kaatsheuvel
Re: Pup met HD? Rontgenfoto's op pagina 3.
Moet alleen maar weer oppas zien te regelen voor maandag voor 2 van mijn 4 kids. Is niet handig om die mee te nemen. Ben 1 keer met 4 kids naar de dierenarts geweest... nooit meer. Wat een hooligans zijn het dan zeg.

- Penny
- Zeer actief
- Berichten: 753
- Lid geworden op: 05 mar 2011 16:20
- Mijn ras(sen): Golden Retriever x Oud Duitse Herder
- Aantal honden: 1
- Locatie: Kaatsheuvel
-
christiane
- Zeer actief
- Berichten: 1014
- Lid geworden op: 16 mar 2007 07:54
- Mijn ras(sen): border collies
- Aantal honden: 12
- Locatie: kortessem
- Contacteer:
- Jeannettebo
- Zeer actief
- Berichten: 21293
- Lid geworden op: 12 jan 2006 14:43
- Aantal honden: 2
- Locatie: Sörenberg
Re: Pup met HD? Rontgenfoto's op pagina 3.
wat een baggerfoto's daar kunnen/mogen ze echt geen uitspraken over doen. succes maandag. ik was overigens direct naar een specialist gegaan. dan had je zowiezo maar 1keer foto's hoeven maken en direct bij de juiste persoon gezeten. ik begrijp dat in budel ook geen officiele specialist is?

- Inge
- Zeer actief
- Berichten: 20173
- Lid geworden op: 22 apr 2002 05:31
- Mijn ras(sen): Mechelse Herder
- Aantal honden: 2
- Locatie: V'waard Baasje van Kobe en TikA
- Contacteer:
Re: Pup met HD? Rontgenfoto's op pagina 3.
Nee, maar wel iemand die heel wat honden per dag röntgent en beoordeelt, deze man weet prima waar hij over praatJeannettebo schreef:wat een baggerfoto's daar kunnen/mogen ze echt geen uitspraken over doen. succes maandag. ik was overigens direct naar een specialist gegaan. dan had je zowiezo maar 1keer foto's hoeven maken en direct bij de juiste persoon gezeten. ik begrijp dat in budel ook geen officiele specialist is?
Groetjes Inge

Danco 16-02-1996 † 30-12-2006 Snoepie 03-07-1994 † 03-07-2008 Nika 07-07-1999 - † 10-08-2009 Marouck 24-08-2002 † 22-05-2012 Numa 11-05-2011 † 2017

Danco 16-02-1996 † 30-12-2006 Snoepie 03-07-1994 † 03-07-2008 Nika 07-07-1999 - † 10-08-2009 Marouck 24-08-2002 † 22-05-2012 Numa 11-05-2011 † 2017
- Penny
- Zeer actief
- Berichten: 753
- Lid geworden op: 05 mar 2011 16:20
- Mijn ras(sen): Golden Retriever x Oud Duitse Herder
- Aantal honden: 1
- Locatie: Kaatsheuvel
Re: Pup met HD? Rontgenfoto's op pagina 3.
In waalwijk was dus wel een 'specialist' maar wat is een specialist? Die specialist heeft Penny wel beoordeeld aan de hand van deze foto's. Ik vind het het belangrijkste dat ik er een goed gevoel bij heb en dat heb ik nu niet.

- crutz
- Zeer actief
- Berichten: 35424
- Lid geworden op: 22 apr 2002 00:24
- Mijn ras(sen): Mechelse Herders (FCI)
- Aantal honden: 7
- Locatie: Zegveld
- Contacteer:
Re: Pup met HD? Rontgenfoto's op pagina 3.
Wat een bagger foto's...
Idd wat iedereen zegt, scheef, maar ben wel bang dat de heupen echt verre van optimaal zijn. Succes maandag.
Idd wat iedereen zegt, scheef, maar ben wel bang dat de heupen echt verre van optimaal zijn. Succes maandag.
- Sanne!!
- Zeer actief
- Berichten: 12583
- Lid geworden op: 26 nov 2006 20:55
- Mijn ras(sen): Labradeitje!
- Aantal honden: 1
Re: Pup met HD? Rontgenfoto's op pagina 3.
Wanneer? Bedoel hoelaat?Penny schreef:Moet alleen maar weer oppas zien te regelen voor maandag voor 2 van mijn 4 kids. Is niet handig om die mee te nemen. Ben 1 keer met 4 kids naar de dierenarts geweest... nooit meer. Wat een hooligans zijn het dan zeg.
Ik vind het ook zeer slechte fotos tjeeh zeg hoe scheef kan een hond liggen. Mijn beeld van Waalwijk word met de dag duidelijker
Sorry Penny (weet je echte naam niet) ik vond hem al niet geweldig en rete duur maar na deze fotos...
Zazoe 7-12-'05 * 26-3-'13
-
Sita
- Zeer actief
- Berichten: 8875
- Lid geworden op: 08 feb 2006 10:34
Re: Pup met HD? Rontgenfoto's op pagina 3.
Dat zijn inderdaad slechte foto's. Waarom maak je geen afspraak in Hilversum bij Y. Krooshof. Zij is orthopeed en wat ik over haar gehoord heb zijn alleen maar goede verhalen.
Ik ga binnenkort naar haar om hd en ed foto's te laten maken van Rowan.
Ik ga binnenkort naar haar om hd en ed foto's te laten maken van Rowan.
Groetjes Yvette, Sita, Taro en Rowan


-
Dianavdberkt
- Zeer actief
- Berichten: 2616
- Lid geworden op: 13 feb 2009 21:12
Re: Pup met HD? Rontgenfoto's op pagina 3.
ondanks het feit dat het slechte foto's zijn ( schandalig slecht zelfs) zie je wel dat de heupen niet helemaal goed zijn. Je ziet puntjes aan de bolletjes en afvlakkingen op de bollen en ze passen niet goed in de kommen. Ook al ligt de hond scheef.
Ik hoop dat ik er hopeloos naast zit.
Ik hoop dat ik er hopeloos naast zit.
-
Dianavdberkt
- Zeer actief
- Berichten: 2616
- Lid geworden op: 13 feb 2009 21:12
Re: Pup met HD? Rontgenfoto's op pagina 3.
Foto's van mijn Bert. Gemaakt op 1 jarige leeftijd
ps Marjolein. Dit is van het reutje dat jij gezien hebt toen je hier op bezoek was en de puppen een paar dagen oud.

ps Marjolein. Dit is van het reutje dat jij gezien hebt toen je hier op bezoek was en de puppen een paar dagen oud.

-
Muk
Re: Pup met HD? Rontgenfoto's op pagina 3.
Helemaal mee eens. Aan zulk prutswerk heb je niets (sterker nog, je hond moet nu nog een keer een roes, dus dit is extra belasting voor de hond ivm een second opinion). Zeker je geld terugvragen dus.Aimee schreef:Wat belachelijk zeg! Zou eigenlijk echt mijn geld terugvragen, er valt weinig te beoordelen zo!
- Elvis
- Actief
- Berichten: 136
- Lid geworden op: 27 feb 2011 15:54
- Mijn ras(sen): Duitse herder
Re: Pup met HD? Rontgenfoto's op pagina 3.
Is dat in kerkelanden? Ging daar vroeger altijd naar de dierenarts, hele aardige mensen. Woon nu niet meer in Hsum (wel vlakbij), maar ik ben bang dat mijn hond ook geen geweldige heupen heeft. Kun je al foto's laten maken voor de leeftijd van een jaar dan? Las ergens van nietSita schreef:Dat zijn inderdaad slechte foto's. Waarom maak je geen afspraak in Hilversum bij Y. Krooshof. Zij is orthopeed en wat ik over haar gehoord heb zijn alleen maar goede verhalen.
Ik ga binnenkort naar haar om hd en ed foto's te laten maken van Rowan.
09-11-2010
22-05-2011
Ik mis je zo.

22-05-2011
Ik mis je zo.

- Inge
- Zeer actief
- Berichten: 20173
- Lid geworden op: 22 apr 2002 05:31
- Mijn ras(sen): Mechelse Herder
- Aantal honden: 2
- Locatie: V'waard Baasje van Kobe en TikA
- Contacteer:
Re: Pup met HD? Rontgenfoto's op pagina 3.
Jawel, alleen geen officiële beoordeling van de Raad.Elvis schreef:Is dat in kerkelanden? Ging daar vroeger altijd naar de dierenarts, hele aardige mensen. Woon nu niet meer in Hsum (wel vlakbij), maar ik ben bang dat mijn hond ook geen geweldige heupen heeft. Kun je al foto's laten maken voor de leeftijd van een jaar dan? Las ergens van nietSita schreef:Dat zijn inderdaad slechte foto's. Waarom maak je geen afspraak in Hilversum bij Y. Krooshof. Zij is orthopeed en wat ik over haar gehoord heb zijn alleen maar goede verhalen.
Ik ga binnenkort naar haar om hd en ed foto's te laten maken van Rowan.
Maar een dierenarts die veel ervaring heeft met röntgenen ziet echt wel of het goed is of niet.
Groetjes Inge

Danco 16-02-1996 † 30-12-2006 Snoepie 03-07-1994 † 03-07-2008 Nika 07-07-1999 - † 10-08-2009 Marouck 24-08-2002 † 22-05-2012 Numa 11-05-2011 † 2017

Danco 16-02-1996 † 30-12-2006 Snoepie 03-07-1994 † 03-07-2008 Nika 07-07-1999 - † 10-08-2009 Marouck 24-08-2002 † 22-05-2012 Numa 11-05-2011 † 2017
- Penny
- Zeer actief
- Berichten: 753
- Lid geworden op: 05 mar 2011 16:20
- Mijn ras(sen): Golden Retriever x Oud Duitse Herder
- Aantal honden: 1
- Locatie: Kaatsheuvel
Re: Pup met HD? Rontgenfoto's op pagina 3.
Ik heet Irma. Ik moet om 10.00 in Budel zijn. Uur rijden vanaf hier denk ik?

-
Sita
- Zeer actief
- Berichten: 8875
- Lid geworden op: 08 feb 2006 10:34
Re: Pup met HD? Rontgenfoto's op pagina 3.
Dat is inderdaad in Kerkelanden. Ik zou er als je twijfels hebt over de heupen sowieso even langs een da gaan.Elvis schreef:Is dat in kerkelanden? Ging daar vroeger altijd naar de dierenarts, hele aardige mensen. Woon nu niet meer in Hsum (wel vlakbij), maar ik ben bang dat mijn hond ook geen geweldige heupen heeft. Kun je al foto's laten maken voor de leeftijd van een jaar dan? Las ergens van nietSita schreef:Dat zijn inderdaad slechte foto's. Waarom maak je geen afspraak in Hilversum bij Y. Krooshof. Zij is orthopeed en wat ik over haar gehoord heb zijn alleen maar goede verhalen.
Ik ga binnenkort naar haar om hd en ed foto's te laten maken van Rowan.
Inge schreef het ook al, maar alleen als je de foto's officieel wil laten beoordelen door de raad van beheer moet je wachten totdat je hond een jaar is.
Groetjes Yvette, Sita, Taro en Rowan


-
Leane
Re: Pup met HD? Rontgenfoto's op pagina 3.
Over Budel hoor ik hele goeie verhalen
succes maandag !
- Sanne!!
- Zeer actief
- Berichten: 12583
- Lid geworden op: 26 nov 2006 20:55
- Mijn ras(sen): Labradeitje!
- Aantal honden: 1
Re: Pup met HD? Rontgenfoto's op pagina 3.
Oh tis in de ochtend dat is jammer anders mocht je ze wel ff hier brengen hoor als je dat aan durftPenny schreef:Ik heet Irma. Ik moet om 10.00 in Budel zijn. Uur rijden vanaf hier denk ik?
Zazoe 7-12-'05 * 26-3-'13
- Penny
- Zeer actief
- Berichten: 753
- Lid geworden op: 05 mar 2011 16:20
- Mijn ras(sen): Golden Retriever x Oud Duitse Herder
- Aantal honden: 1
- Locatie: Kaatsheuvel
-
tkuijernl
- Zeer actief
- Berichten: 1567
- Lid geworden op: 22 jul 2010 18:17
- Aantal honden: 0
- Locatie: wijk bij duurstede
Re: Pup met HD? Rontgenfoto's op pagina 3.
ondanks dat de fotos echt bagger zijn, vind ik de heupen niet mooi....kommen lijken veel de ondiep in ieder geval en het lijkt ook wel alsof er oneffenheden inzitten eigenlijk.....hoop dat ik er naast zit hoor 
groetjes Tamara
- malinois
- Zeer actief
- Berichten: 57865
- Lid geworden op: 16 aug 2003 18:40
- Mijn ras(sen): (X) Mechelse herder
- Aantal honden: 3
- Contacteer:
Re: Pup met HD? Rontgenfoto's op pagina 3.
ben bang dat je gelijk hebt, ondanks de vreselijk slechte foto's zien ze er ook niet best uit...crutz schreef:Wat een bagger foto's...
Idd wat iedereen zegt, scheef, maar ben wel bang dat de heupen echt verre van optimaal zijn. Succes maandag.

In liefdevolle herinnering aan Xena v.d. Lobo Hoeve 12.08.2001 - 15.06.2016 & Xito v.d. Lobo Hoeve 04.01.06 - 21.08.14 Website Mechelse herders Facebooksite Xygan Facebooksite Xavi
- Penny
- Zeer actief
- Berichten: 753
- Lid geworden op: 05 mar 2011 16:20
- Mijn ras(sen): Golden Retriever x Oud Duitse Herder
- Aantal honden: 1
- Locatie: Kaatsheuvel
Re: Pup met HD? Rontgenfoto's op pagina 3.
Als ik ze vergelijk met jullie honden zijn het zeker geen mooie heupen. Maar wil het wel gewoon zeker weten voor ik beslissingen neem over operaties en dergelijke. Pffff wat een gedoe. Wil gewoon een gezonde pup die onbezorgd de rest van haar leven rond kan springen.




