En waarvan ik de foto ook mag gebruiken voor een werk voor school
Ster topic:
Kijk je naar goedkopere alternatieven voor je hond nu alle de prijzen zo uit de bocht vliegen?
Ster topic! Klik hier om te reageren
Ben je nieuw en wil je een account maken? Klik hier!
Een (zeer) beknopte handleiding voor nieuwe leden vind je hier: Klik!
Het hondenforum team stelt zich hier voor: Klik!
Laatste wijziging 23-03-2022
Wil je deze forummededeling niet meer zien? klik dan rechtsboven in dit vak
Kijk je naar goedkopere alternatieven voor je hond nu alle de prijzen zo uit de bocht vliegen?
Ster topic! Klik hier om te reageren
Ben je nieuw en wil je een account maken? Klik hier!
Een (zeer) beknopte handleiding voor nieuwe leden vind je hier: Klik!
Het hondenforum team stelt zich hier voor: Klik!
Laatste wijziging 23-03-2022
Wil je deze forummededeling niet meer zien? klik dan rechtsboven in dit vak
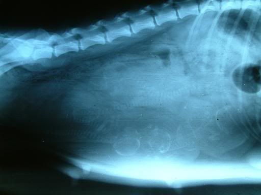
Rontgenfoto drachtige hond
Moderator: moderatorteam
- ~Tine~
- Zeer actief
- Berichten: 1313
- Lid geworden op: 13 jul 2002 00:24
- Mijn ras(sen): Australian Kelpie
- Aantal honden: 2
- Locatie: België
Rontgenfoto drachtige hond
Heeft iemand toevallig een rontgenopname van een drachtige hond? Een foto waar enkele pups (skeletjes) duidelijk op te zien zijn.
En waarvan ik de foto ook mag gebruiken voor een werk voor school
.
En waarvan ik de foto ook mag gebruiken voor een werk voor school
Sem - Australian Kelpie °14-06-2006
Finn - Australian Kelpie °18-03-2020
Finn - Australian Kelpie °18-03-2020
- amelie
- Zeer actief
- Berichten: 1178
- Lid geworden op: 15 jul 2005 18:42
- Aantal honden: 1
- Locatie: Zuid Holland
*hier* staat een rontgenfoto, maar ik zou wel eerst even mailen voor toestemming naar info@fromletsborder.nl
Of misschien zit men hier wel op het forum, dat kan natuurlijk ook
Of misschien zit men hier wel op het forum, dat kan natuurlijk ook
- LongFields
- Zeer actief
- Berichten: 49618
- Lid geworden op: 16 jan 2003 11:07
- Mijn ras(sen): Laekense Herder Tapas
Peruaanse Kelpie Mojo
Kelperuaan Kiitos - Aantal honden: 3
- LongFields
- Zeer actief
- Berichten: 49618
- Lid geworden op: 16 jan 2003 11:07
- Mijn ras(sen): Laekense Herder Tapas
Peruaanse Kelpie Mojo
Kelperuaan Kiitos - Aantal honden: 3
- ~Tine~
- Zeer actief
- Berichten: 1313
- Lid geworden op: 13 jul 2002 00:24
- Mijn ras(sen): Australian Kelpie
- Aantal honden: 2
- Locatie: België
- LongFields
- Zeer actief
- Berichten: 49618
- Lid geworden op: 16 jan 2003 11:07
- Mijn ras(sen): Laekense Herder Tapas
Peruaanse Kelpie Mojo
Kelperuaan Kiitos - Aantal honden: 3
-
Jeanet Stehouwer
- Actief
- Berichten: 186
- Lid geworden op: 13 sep 2006 10:00
- Locatie: Strijen
- Contacteer:
-
borderke
- Actief
- Berichten: 253
- Lid geworden op: 27 jan 2006 13:52
- Contacteer:
-
boxersien
- LongFields
- Zeer actief
- Berichten: 49618
- Lid geworden op: 16 jan 2003 11:07
- Mijn ras(sen): Laekense Herder Tapas
Peruaanse Kelpie Mojo
Kelperuaan Kiitos - Aantal honden: 3
- malinois
- Zeer actief
- Berichten: 57865
- Lid geworden op: 16 aug 2003 18:40
- Mijn ras(sen): (X) Mechelse herder
- Aantal honden: 3
- Contacteer:
wat mooi te zien al die skeletjes, is dit een foto van jouw hond?

In liefdevolle herinnering aan Xena v.d. Lobo Hoeve 12.08.2001 - 15.06.2016 & Xito v.d. Lobo Hoeve 04.01.06 - 21.08.14 Website Mechelse herders Facebooksite Xygan Facebooksite Xavi
- LongFields
- Zeer actief
- Berichten: 49618
- Lid geworden op: 16 jan 2003 11:07
- Mijn ras(sen): Laekense Herder Tapas
Peruaanse Kelpie Mojo
Kelperuaan Kiitos - Aantal honden: 3
- malinois
- Zeer actief
- Berichten: 57865
- Lid geworden op: 16 aug 2003 18:40
- Mijn ras(sen): (X) Mechelse herder
- Aantal honden: 3
- Contacteer:
LongFields schreef:Dat zie je toch zo!malinois schreef:wat mooi te zien al die skeletjes, is dit een foto van jouw hond?
Mag ik hem ook in het groot ontvangen
zal m'n mail wel ff pb-en

In liefdevolle herinnering aan Xena v.d. Lobo Hoeve 12.08.2001 - 15.06.2016 & Xito v.d. Lobo Hoeve 04.01.06 - 21.08.14 Website Mechelse herders Facebooksite Xygan Facebooksite Xavi


